5± Acre Equestrian Site With Barn
1769 Sheckler Cut-Off, Fallon (Churchill County), NV 89406
Online Only Auction
Bid Deadline: Thursday, July 21st, 2016 at 11:00 AM PT
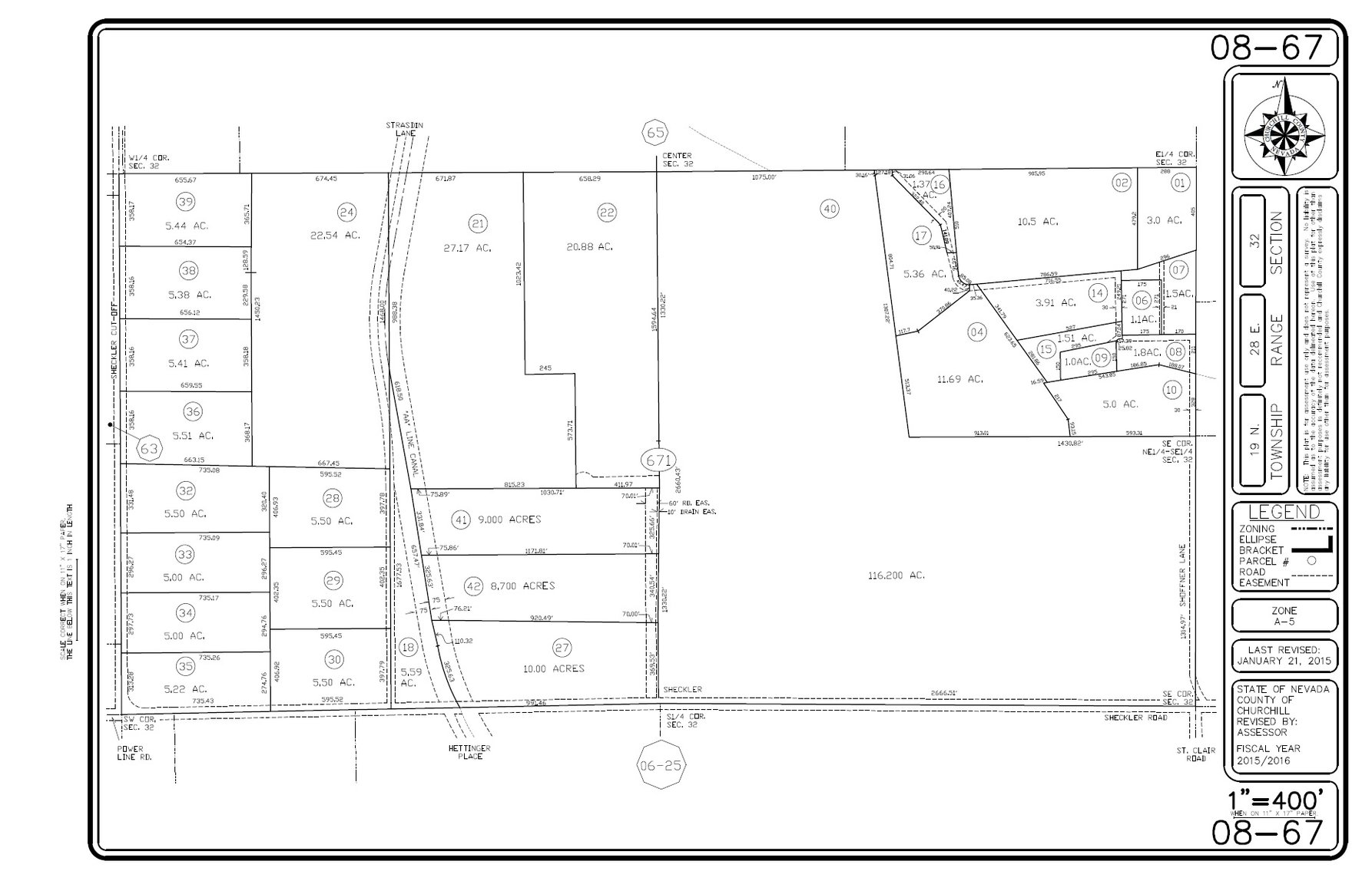
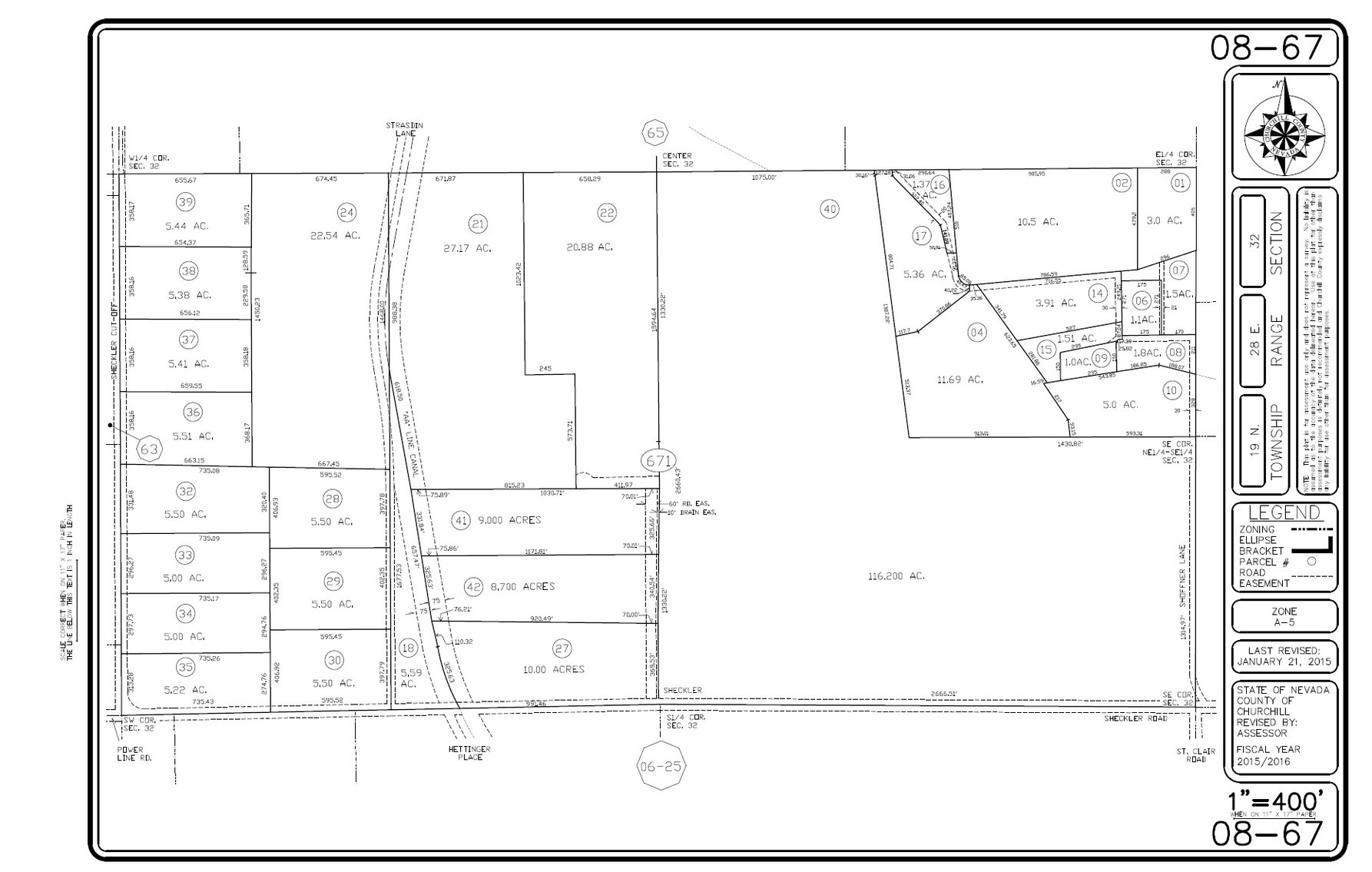
The 5± acre tract has 331± ft. of road frontage and 735± ft. of depth and is in an area known for equestrian lifestyle. It is improved with a 2,000± SF 5 stall stucco sided horse barn with tack room, indoor hay storage, and a large covered porch/entry. Property is fully fenced with 2 and 3 rail vinyl fencing, full electric service, and an irrigation system. No well or septic installed. Water rights included. Buyer to verify amount. The property is in the Countryside Estates subdivision and is covered by a Declaration of Covenants and Ditch Maintenance Agreement providing for residential development requirements and standards and irrigation rights with the Truckee- Carson Irrigation District. It is tax parcel 008-671-32 and is indicated on tax map 08-67 as containing 5.5 acres. 2015-16 taxes are $1765.01.
Terms: Bank Proof of Funds Required to Bid, 10% Buyer’s Premium added to winning bid to determine sale price, Greater of 10% or $2,500 EM Deposit, close in 30 days.
Auction conducted in cooperation and conjunction with: Megan Lopresti, Bradway Properties, Nevada Broker, #B.1000376, 775-461-0081

.png)